釣果写真をクリックしていただくと拡大表示されます。
錦糸町店 東京都
2026年03月16日(月)
| 釣り場など | 勝山沖 |
|---|---|
| 釣行者 | 錦糸町店 小川 |
| 同行者 |
稲毛海岸店平林 お客様ご夫婦
|
| ロッド | |
| リール | |
| ライン |
PE1号
|
| エサ |
アルゼンチン赤エビ
マイワシ
|
トラフグがいよいよ大型が出始めたということで、今年初の船釣りに行ってまいりました!
数はまだ出てませんが、型は良いという感じ…
1匹釣れれば良いなぁなんて考えてましたが現実はそう甘くもなく(???;)
同行のお客様・稲毛海岸店の平林さんも釣れず…
反対舷の方にアタリが集中してました。なんでや……
イワシに反応が良かったそうなので、忍ばせておくと良いかもしれません。
トラフグジャンボ宝くじはまだキャリーオーバー前!また行きます!
釣果写真をクリックしていただくと拡大表示されます。
シュロアモール筑紫野店 福岡県
2026年03月16日(月)
| バス | 45 cm | 合計 1 匹 |
|---|
| 天気 | 晴れ |
|---|---|
| 釣り場など | 筑後川水系 水路 |
| 釣行者 | シュロアモール筑紫野店 高嶋 |
| 釣種 |
クランキング
|
| ロッド |
ノースフォークコンポジット S2 CB701-3
|
| リール | |
| ライン | |
| 針 | |
| ルアー |
スキルフル×キャスティング REVマッチョ
|
| 時間 |
9時30分~10時40分
|
早春クランキングパターンby平野部水路など=中層(ブレイク絡み)+ロール系アクションが鉄板!
タイトピッチのリアクションのシャッドが、そろそろ効かなくなってくるのではないか?とのタイミングで、今回もREVシリーズでしっかりロールアクションが、出るREVマッチョをチョイス!
水温12℃とまだまだ冬を引きずっている感は、否めませんが、
前回の釣行で釣れた魚の答え合わせとして、意識的にルアーを設定。
狙い通りの場所で狙い通りのルアーで釣れた魚は、格別です。!!
今回使ったREVマッチョは、すぐには、手に入らないとおもいますが、同じスキルフルのルアーであれば、「T-FLAT」「T-ベイトFAT」などでも代用可能かと思います。もちろん
「NEWREVZERO」も大丈夫!!他メーカーだとEG「フラットフォース」やラパラ「OGT4」などが、個人的にはオススメです。
春の中層クランクを楽しんでみて下さい。
釣果写真をクリックしていただくと拡大表示されます。
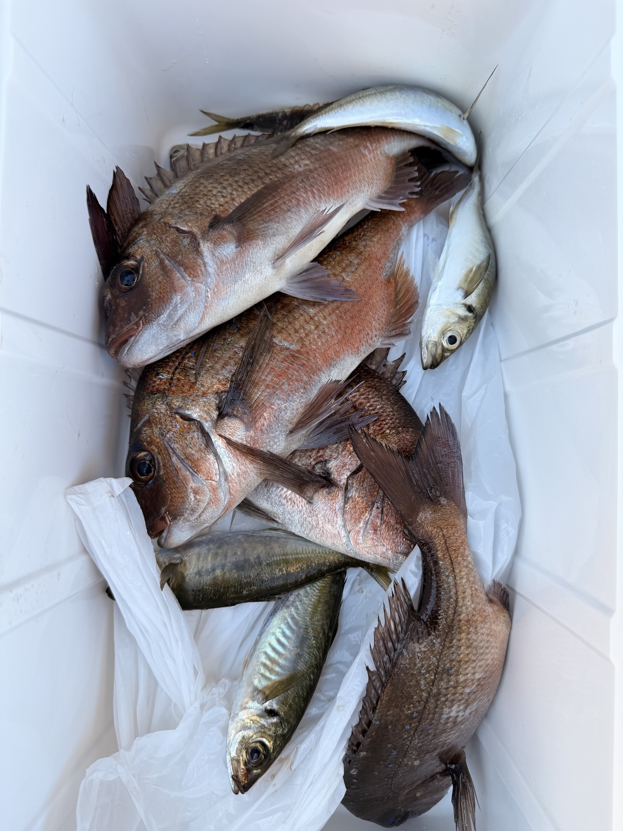
鹿屋店 鹿児島県
2026年03月15日(日)
| イシダイ | 40 - 58 cm | 0 - 3 匹 |
|---|---|---|
| イシガキダイ | 40 cm | 合計 1 匹 |
| オヤビッチャ | 20 cm | 合計 1 匹 |
| 天気 | 晴れ |
|---|---|
| 釣り場など | 尾波瀬沖磯 |
| 釣行者 | 鹿屋店スタッフ:わしお |
| 釣種 |
石鯛釣り
|
| 同行者 |
キザクラ・武富さん、高浪さん 釣武者・小原さん 山中エリア長
|
| リール | |
| ライン | |
| 針 | |
| エサ |
ガンガゼ
|
石鯛・アラ祭りイベントの翌日に
尾波瀬沖磯へ石鯛釣りに行ってきました!
私には本命っぽいアタリが一回のみでボウズでしたが、
周りの石鯛師はほぼ全員本命ゲットの好釣果でした♪
近いうちに再挑戦したいと思います!
釣果写真をクリックしていただくと拡大表示されます。
福岡店 福岡県
2026年03月15日(日)
| ワカサギ | 4 - 6 cm | 合計 130 匹 |
|---|
| 天気 | 晴れ |
|---|---|
| 釣り場など | 佐賀県三瀬村「北山湖・北山ダム」 |
| 釣行者 | 福岡店スタッフ石橋 |
| 釣種 |
今シーズンラストの「ワカサギ釣り大会」
|
| ロッド1 | |
| リール1 | |
| ライン1 | |
| 針 | |
| エサ |
紅サシ×1袋/ぶどう虫
|
| 時間 |
AM8:00~PM1:00
|
| 費用 |
レンタルボート料金(1~2名乗り)1日/¥6.000
ワカサギ大会参加費¥2.000
|
| JAN6 | |
| JAN7 | |
| JAN8 | |
| ロッド2 | |
| リール2 |
今シーズンラストとなる北山湖ワカサギ釣り大会に参加して来ました。前回の釣行で良かったエリア「北山湖本湖69番小関ワンド」に直行しスタートしましたが激渋の遥か上行く「渋々君」時速30匹程でしたのでこのエリアを見切って対岸の「北山湖本湖8番ワンド」に早々に移動しましたが…撃沈…再び対岸の「北山湖本湖66番井田ゼキ」に入り直し水深18mに映る魚影をコツコツ釣って何とか10束(100匹)釣ったところでフィニッシュ!結果4位と惜しくも表彰台は逃しましたが優勝したパターンも18mだったとの事で答え合わせは出来た大会でした。今月末ごろに桜が開花するタイミングが今シーズンワカサギラスト釣行かな(*'▽')
今回大会を企画・運営頂いたのは
北山湖「フィッシングセンターうおまん」さん
来シーズンも大会を開催されるとの事ですので皆様のご参加お待ちしております。
釣果写真をクリックしていただくと拡大表示されます。
仙台南店 宮城県
2026年03月15日(日)
| ワカサギ | 5 - 10 cm | 合計 210 匹 |
|---|
| 天気 | 晴れ |
|---|---|
| 釣り場など | 栗原市 花山湖 |
| 釣行者 | 仙台南店 にひら |
| 同行者 |
ワカサギ名人の方々
|
| ロッド | |
| リール | |
| ライン | |
| 針 |
オリジナル仕掛け HY-01 all-around HY-03 long
|
| エサ |
紅サシ 白サシ
|
毎年恒例の仲間内での釣り大会を開催してきました♪
メンツはワカサギ界隈ではお馴染みの名人と当社主催のワカサギ王決定戦歴代チャンピオンとバチバチに戦います(;・`д・´)
個人戦とペアマッチを行い真剣な中にも笑いが絶えない一日でした♪
状況はかな~り渋く、E船から魚が入ってくる状況で大苦戦!
ミャク釣りなら下針必須!フカセ釣りなら穂先の硬さが非常に重要でしたね。
私も途中穂先を変えて何とか対応しました。
やはり状況に応じたタックルセッティングは非常に大事ですね!
釣果写真をクリックしていただくと拡大表示されます。
福岡店 福岡県
2026年03月15日(日)
| オナガグレ | 30 - 33 cm | 合計 6 匹 |
|---|
| 天気 | 晴れ |
|---|---|
| 釣り場など | 尾波瀬 |
| 釣行者 | スタッフ 山中 |
| 釣種 |
フカセ釣り
|
| ロッド1 | |
| リール1 | |
| ライン1 | |
| 針 | |
| エサ | |
| 時間 |
8時~12時
|
鹿児島県佐多岬方面での釣りは久しぶりでワクワクしながらロングドライブ。
当日は風が強く釣場を変更して尾波瀬へ実釣りしました。釣り場の前方には屋久島・口永良部島・竹島・硫黄島・黒島・開聞岳とロケ―ジョンも最高ですね。
尾長釣りのメッカでもあるのでハリス3号からスタートして仕掛けを流しましたが手のひらサイズのオナガグレが遊んでくれてハリスの手持ちも3号以上で敢え無く撃沈。状況に応じてハリスの号数は落とせる準備もして出直します。
釣果写真をクリックしていただくと拡大表示されます。
多賀城店 宮城県
2026年03月15日(日)
| シーバス | 50 cm | 合計 1 匹 |
|---|
| 天気 | 晴れ |
|---|---|
| 釣り場など | 宮城河川 |
| 釣行者 | 多賀城店 山中 |
| 釣種 |
シーバス
|
| ロッド | |
| リール | |
| ライン | |
| ルアー | |
| 時間 |
1時~6時
|
こんにちは!多賀城店スタッフ山中です!3月15日前回の再現性を確認するため釣りに行ってきました!前回となるべく条件を合わせるように深夜帯からエントリー!ルアーはいつものラルタンからスタート!もはや釣行中の8割くらいずっとラルタン投げてます(笑)狙いの潮位になり、そろそろかな?とキャストを繰り返し流し込んでいくと...ドン!と待望のヒット!潮位のタイミング、使用ルアー、トレースコース再現性完璧のキャッチとなりました!その後のバラシまで完璧に再現してきました(笑)......それは悔しい!やはりシンペンのクリアな巻き抵抗からのバイトの衝撃はクセになりますね!また行ってきます!
釣果写真をクリックしていただくと拡大表示されます。
岩槻インター店 埼玉県
2026年03月15日(日)
| トラウト | 29 - 50 cm | 合計 36 匹 |
|---|
| 天気 | 晴れのち曇り |
|---|---|
| 釣り場など | 308クラブ |
| 釣行者 | スタッフ福田 |
| 釣種 |
トラウト
|
| 同行者 |
楽しいお客様
|
| ロッド |
アイビーライン
|
| リール | |
| ルアー |
アイジェットリンク、アングラーズシステム、ディスプラウト、彦ルアーなど
|
| ライン |
ユニチカ
|
こんにちは、岩槻インター店メタボ福田です。
今回は、サクラマスの塩焼きが食べたくて栃木県の308クラブにお邪魔してきました。
朝一は、ミノーでサクラマス狙い一投目から好反応で連発その後コーヒーブレイクしてからいつも通りのんびりフィッシング。
スプーンでやりましたが、厳しくプラグで起動変化やシェイクなどでポツポツ釣ることが出来一日楽しく釣りが出来ました。
皆様も是非行ってみてはいかがでしょうか、(サクラマスの塩焼きは絶品ですよ)
釣果写真をクリックしていただくと拡大表示されます。
天草店 熊本県
2026年03月15日(日)
| アオリイカ | 0.60 kg | 合計 1 匹 |
|---|---|---|
| ヤズ | 53 cm | 合計 1 匹 |
| 釣り場など | 天草・八代海 |
|---|---|
| 釣行者 | スタッフ日高 |
| 釣種 |
ティップラン&タイラバのリレー
|
| ロッド | |
| リール | |
| 時間 |
6時から15時
|
知人の船で『タイラバ&ティップラン』のリレーに行ってきました。
オフショアの釣りは年末以来。
なんで、今回は釣果よりも海の状況を見るのが目的でした。
まずはタイラバから。朝一で確実にタイってアタリがあったんですが、やり取りの途中でバラシ。
その後、場所を移動しながら小さめのカサゴやアコウを追加。
途中、『大きめの根魚かな』と思ったくらい引かない魚がヒットして、上げてみたらヤズでした。
主だった釣果はコレのみで、ティップランに変更しました。
こちらは二時間ほどの釣りでしたが、アタリがかなり少なく、どーにか1杯ゲットできました。
季節的には春ですが、海の中は春と冬を繰り返している感じがしました。
来月には、登りダイも入って少しは賑わうように思います。
釣果写真をクリックしていただくと拡大表示されます。
甲府店 山梨県
2026年03月15日(日)
| 天気 | 晴れ |
|---|---|
| 釣り場など | 伊豆の堤防など |
| 釣行者 | 甲府店 田村 |
| 釣種 |
堤防ヤリイカ、アオリイカ
|
| 同行者 |
お客様
|
| ロッド |
エギングロッド、磯竿3-360
|
| リール |
フリームス3000
|
| ライン | |
| 時間 |
0:00-13:00
|
仕事終わりにお客様と合流してヤリイカ&アオリイカ狙いに行って来ました!
・・が、どちらも釣れませんでした泣
ヤリイカもまだポロポロと釣れているみたいです。地元の方の話では最近デカいアオリイカも釣れているとの事なのでまたチャレンジに行ってみたいと思います!














































