釣果写真をクリックしていただくと拡大表示されます。
東松山高坂店 埼玉県
2025年12月01日(月)
| ニジマス | 20 - 30 cm | 合計 12 匹 |
|---|
| 天気 | 晴れ |
|---|---|
| 釣り場など | フィッシングステージ彩の国 |
| 釣行者 | 東松山高坂店 ケンモク |
| ロッド | |
| リール |
スピニング2000番
|
| ルアー |
ウッサ
サカサニョロ
デカミッツ等
|
| ライン |
エルテル0.4号
|
今回も当店から15分で行けるフィッシングステージ彩の国さんに遊びに行きました。
午前中に用事を済ませて午後から3時間の釣行です。
前回の釣行でボトム付近に魚が多かったので、当店のトラウト担当に教えて頂きルアーを購入
開始からやはりボトム付近でのアタリが多く丁寧に探ると連発!
あっという間に時間が過ぎてしまいました。
またすぐにでも遊びに行きたいと思います。
釣果写真をクリックしていただくと拡大表示されます。
仙台南店 宮城県
2025年12月01日(月)
| アイナメ | 16 cm | 合計 1 匹 |
|---|
| 天気 | 晴れ |
|---|---|
| 釣り場など | 女川方面 |
| 釣行者 | 仙台南店あべ |
| 釣種 |
ロックフィッシュ
|
| ロッド |
ダイワ ラテオ FJ 1010ML/M
|
| リール | |
| ライン | |
| 針 | |
| ルアー |
パドチュー、HPシャッド
|
| 時間 |
午後
|
今回はアイナメを狙いに行ってきました~!
HPシャッドでかなりのアタリがあるもののノらない・・・。
ワームを変えてボトムを取っていくと、グンっというアタリ!
しっかりと合わせて巻いてくると・・・可愛いアイナメが釣れました(*'ω'*)
「次は大きくなってから会おうね~」と声をかけてリリースしました!
次はサイズアップを目指して釣りに行こうと思います(^^)/
釣果写真をクリックしていただくと拡大表示されます。
水戸店 茨城県
2025年12月01日(月)
| ヒラメ | 0.50 - 4.10 kg | 0 - 4 匹 |
|---|---|---|
| タコ | 1.00 kg | 合計 1 匹 |
| マゴチ | 55 - 60 cm | 合計 2 匹 |
| アイナメ | 40 cm | 合計 1 匹 |
| 天気 | 晴れ |
|---|---|
| 釣り場など | 日立久慈港 明進丸 水深10m |
| 釣行者 | 水戸店スタッフ 中島 |
| 釣種 |
ヒラメ
|
| 同行者 |
スタッフ富田、スタッフ河野
|
| ロッド | |
| リール | |
| ライン | |
| 針 | |
| エサ |
イワシ
|
| 時間 |
5:30~12:00
|
| 費用 |
13000円
|
スタッフ中島です!
12/1(月)は茨城船ヒラメ全面解禁!!ということで釣りにいってきました!
日立久慈港明進丸さんにお世話になりました。ポイントは近場で出船して10分ほど。
さぁ、ひと流し目からくるか!?少しずつ糸を送って待っているとイワシが急に暴れ始めました。あ!これはいる!慌てない慌てない・・・食い込むまでしっかり待ってアワせる!船中ファーストヒットもらった!あとはサイズがでかければ文句なし!上がってきたのはソゲサイズ(笑)ですが久々のご対面でした。
しばらくたって次の反応がイワシが暴れたな~~と思ったら一気に引き込まれるアタリ!しかも重い!これはデカいぞ!バラシちゃいけない!慎重に巻いてくると見えたのはデカヒラメ!座布団サイズある!
無事キャッチし巨大ヒラメゲット!船中大盛り上がりです。こんなデカイの初めて釣りました。
その後もマゴチやタコ、美味しいゲストを釣って納竿となりました。
同行していた富田さんは良型ヒラメ、河野さんはマゴチ、アイナメといろんな魚が釣れ楽しい時間となりました。
常磐ヒラメはまだ始まったばかり!これからの釣果に期待です!
釣果写真をクリックしていただくと拡大表示されます。
成田富里店 千葉県
2025年12月01日(月)
| ヒラメ | 40 cm | 合計 1 匹 |
|---|
| 天気 | 晴れ |
|---|---|
| 釣り場など | 久慈港 20m |
| 釣行者 | 成田富里店 在田 |
| ロッド |
バイオインパクトヒラメ240
|
| リール |
SB200
|
| ライン | |
| ルアー・仕掛け |
12月1日ヒラメ茨城全面解禁の為夢を抱いて行ってきました。今回は久慈港郡司丸さんにお邪魔しました。水深は15mから30mスタートは沖の堤防からです。船長よりここは根があるので気を付けてとアナウンスがあります。しかし誰も当たりません、何回目かの移動でカサゴが釣れました。その次の移動でお隣の人がヒット2㌔級が上がります、その後私にもヒットまあまあの引きですしかし痛恨のバラシです。針には何故かイワシがアジに代わっています、不思議です。その後アタリもなくラスト1時間でソゲ級を釣って終了となりました。次回はエギタコ予定です。
釣果写真をクリックしていただくと拡大表示されます。
水戸店 茨城県
2025年12月01日(月)
| ヒラメ | 0.50 - 4.10 kg | 0 - 4 匹 |
|---|---|---|
| マゴチ | 50 - 60 cm | 合計 2 匹 |
| アイナメ | 40 cm | 合計 1 匹 |
| 天気 | 晴れ |
|---|---|
| 釣り場など | 日立沖 |
| 釣行者 | 水戸店 富田 |
| 釣種 |
ヒラメ泳がせ
|
| 同行者 |
水戸店 河野 中島 お客様S様
|
| ロッド | |
| リール | |
| ライン | |
| 針 | |
| エサ |
活きイワシ
|
| 時間 |
5:00-12:00
|
| 費用 |
000円
|
こんにちは!水戸店富田です!
祝!12月茨城沖ヒラメ全面解禁!
解禁初日に常連S様のお誘いでスタッフ河野、中島と共に船ヒラメ釣行してきました!
久慈港明進丸さんより出船!
朝一は港からすぐの水深10mを攻めます♪
ここでスタッフ中島が魅せます♪流石の腕前でヒラメ連発♪♪
無事ヒラメの顔を見ることが出来ました♪
一方富田&河野のルアー組は大苦戦…。
合わせのタイミングがわからずでなかなか乗せられません…。
流れがあるポイントでようやくコツを掴み!
わたくしにも待望のヒット!なんとかヒラメGET♪
スタッフ河野のロッドにメガバイトがあるも特大マゴチ(苦笑)
最後まで粘りましたが、潮が流れず終始苦戦しました。
またリベンジしたいですね!
釣果写真をクリックしていただくと拡大表示されます。
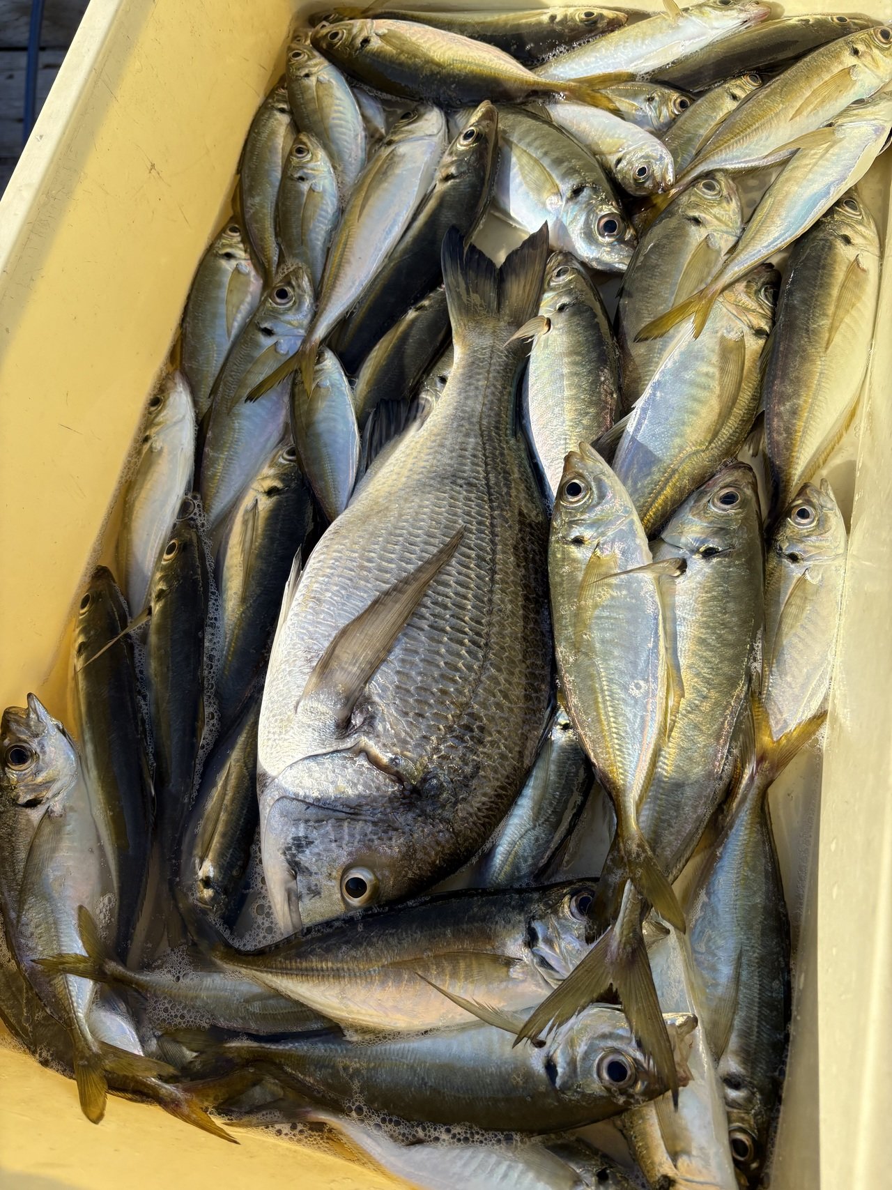
品川シーサイド店 東京都
2025年12月01日(月)
| アジ | 18 - 28 cm | 合計 47 匹 |
|---|
| 天気 | 晴れ |
|---|---|
| 釣り場など | 赤灯沖 |
| 釣行者 | 品川シーサイド店 佐藤 |
| 釣種 |
ライトアジ
|
| ロッド | |
| リール |
品川シーサイド店佐藤です。
米元丸さんからライトアジ釣りに行ってきました。
南西の風が強かったですが一日通して問題なくできました。
釣れる時間帯は短くポツポツ拾っていく感じでした。
しかしアジの釣れない時間帯はクロダイなどスペシャルゲストが良く当たります。
ハリス切れを何度もしてしまいました、、、何とか黒鯛は1枚確保。
今回はアジのサイズも小ぶりが少し混じりましたが脂の乗りは年間の中でも最高ですよ!
皆様も是非挑戦してみてください!
米元丸ではレクチャーも親切で攻略法も詳しく教えてくれるので初心者の方にもおすすめの船宿さんです!
釣果写真をクリックしていただくと拡大表示されます。
市川東店 千葉県
2025年12月01日(月)
| 天気 | 晴れ |
|---|---|
| 釣り場など | 千葉ポートパーク |
| 釣行者 | スタッフ 坂脇 |
市川東店坂脇です
釣果好調との話だったので、仕事帰り千葉港にヒイカ狙いに行ってきました!
当日は気温も高く天候良く、風も無く釣りやすかったですが、イカの反応は『無』。
上げ潮が効いてきて釣れそうな雰囲気ですが、周りも『無』。
空を見上げると月明かりが煌々と輝いていて、夜なのに影が落ちるほど…
恐らくですが、明るすぎて常夜灯付近にベイトが集まらず、沖にいたのかもしれません。
今度からは月明かりも考慮した方がいいかもしれないですね。
木更津方面でも、好釣果情報が聞こえていますので、今度足を伸ばしてみようと思います。
釣果写真をクリックしていただくと拡大表示されます。
いわき鹿島店 福島県
2025年12月01日(月)
| アジ | 20 - 24 cm | 合計 7 匹 |
|---|---|---|
| メバル | 7 - 18 cm | 合計 14 匹 |
| 天気 | 晴れ |
|---|---|
| 釣り場など | 小名浜港 |
| 釣行者 | いわき鹿島店 岡村 |
| 釣種 |
アジング
|
| 同行者 |
妻
|
久しぶりに小名浜周辺へアジ狙い、私はアジング、妻は定番の虫ヘッド&イソメ。夕マヅメと下げ潮で魚の活性高かったようで、開始第1投目から良型アジがヒット!その後もコンスタントにアタリがあり、釣れるアジは全て20㎝オーバー!アジの時合は1時間程、その後はかわいいメバルが楽しませてくれました。
釣果写真をクリックしていただくと拡大表示されます。
イオンモール木更津店 千葉県
2025年12月01日(月)
| カワハギ | 17 - 18 cm | 合計 5 匹 |
|---|
| 天気 | 晴れ |
|---|---|
| 釣り場など | 内房 |
| 釣行者 | イオンモール木更津店 雪下 |
| ロッド | |
| リール |
船カワハギの予定が、想定外の強風で出船中止・港解散となってしまったので近くの堤防で陸っぱりカワハギやってみました(*^^)v
とは言っても船カワハギタックルしかなかったので仕掛けもエサもそのまま、オモリだけ軽めの6号二個付けでやってみると、らしきアタリ!
その後、キレイさっぱりエサを摂られているので居ると確信しましたが、ほどなくして本命カワハギが釣れました♪
その後はポツポツ、同行のスタッフ伊藤も同様にキャッチ!しばらくやるとさらに爆風となり、腹ペコになったので終了!
竹岡ラーメンを食べて帰宅しました(^^)/
陸っぱりカワハギも楽しくてOK!船カワハギもまた計画し、行ってみます。
釣果写真をクリックしていただくと拡大表示されます。
東松山高坂店 埼玉県
2025年12月01日(月)
| ニジマス | 20 - 45 cm | 合計 20 匹 |
|---|---|---|
| サクラマス | 30 cm | 合計 1 匹 |
| 天気 | 晴れ |
|---|---|
| 釣り場など | 朝霞ガーデン |
| 釣行者 | 東松山高坂店 澤田 |
| ロッド | |
| リール |
ルビアスFC LT2000S
|
| ルアー |
ハント0.4g、チップ0.4g、ワウ40、GJ
スティルT2、レイゲン、ピコイーグル
|
| ライン | |
| 時間 |
7時から13時
|
| 同行者 |
お客様
|
朝霞ガーデンにトラウト初挑戦のお客様と行ってきました。当日は風もなく釣りがしやすい日でした。こんな天気のせいか魚も上にいっぱい。レンジも上目が良かったです。初挑戦のお客様もピコイーグルプレイヤーで良い釣りをしていました。中だるみの時間もありましたが、ルアーチェンジで魚を釣っていくことができました。朝はダメでしたが、最後の方は浮上系ミノーが良い感じに。ルアーをひったくっていくところがたまりません。ミノーが楽しかったのでまた行ってみたいと思います。
































